查看完整案例

收藏

下载
В. А. Мыслин. Опыт проектирования Кузнецкого паровозо-вагоностроительного завода
Владимир Алексеевич Мыслин (1908—1999) — советский архитектор. Член-корреспондент Академии архитектуры СССР, действительный член Академии строительства и архитектуры СССР, секретарь правления Союза архитекторов СССР. В 1930-х годах, занимая должность старшего архитектора в Стройпроекте № 2, разрабатывал проекты районных планировок Кузнецкого и Кемеровского промышленных районов (проекты отмечены премиями). Совместно с Н. Н. Юргенсоном и Г. П. Домшлаком занимался проектированием генерального плана нового ЦАГИ. Был главным архитектором Кузнецкого паровозо-вагоностроительного завода. Творческая деятельность Владимира Алексеевича очень разнообразна. И хотя основным в его творчестве является массовое промышленное строительство, им в разное время были выполнены проекты типовых жилых зданий, проект здания Военной Академии в Москве, проект дома отдыха под Москвой, высотного здания гостиницы на Ленинградском проспекте, проект павильона СССР на Международной выставке в Брюсселе, форпроект Международной выставки в Москве и др.
В статье советского архитектора Владимира Мыслина, опубликованной в 1937 году, рассматривается опыт проектирования Кузнецкого паровозо-вагоностроительного завода. Автор анализирует планировочные решения, уделяя особое внимание организации территории, взаимному расположению завода и города, учету геофизических условий и перспектив развития Сталинского промышленного района. Подчеркивается важность комплексного подхода к проектированию, увязки архитектурных решений с технологическими процессами и социальными потребностями рабочих, а также создания единого архитектурного ансамбля всего заводского комплекса.
This 1937 article by Soviet architect Vladimir Myslin examines the design experience of the Kuznetsk Locomotive and Wagon Construction Plant. The author analyzes the planning solutions, focusing on the organization of the territory, the relationship between the plant and the city, consideration of geophysical conditions, and development prospects of the Stalin Industrial District. The article emphasizes the importance of a comprehensive approach to design, linking architectural solutions with technological processes and social needs of workers, as well as creating a unified architectural ensemble of the entire plant complex.
这篇由苏联建筑师弗拉基米尔·梅斯林于 1937 年发表的文章,探讨了库兹涅茨克机车车辆制造厂的设计经验。作者分析了规划方案,重点关注了区域的组织、工厂与城市的关系、对地球物理条件的考虑以及斯大林工业区的发展前景。文章强调了综合设计方法的重要性,将建筑解决方案与技术流程和工人的社会需求联系起来,以及创建整个工厂建筑群的统一建筑整体。ソ連の建築家ウラジーミル・ムイシリンが1937年に発表したこの記事では、クズネツク機関車・貨車製造工場の設計経験を考察している。著者は、敷地の組織、工場と都市の関係、地球物理学的条件の考慮、スターリン工業地区の開発見通しに焦点を当てて、計画ソリューションを分析している。この記事では、設計に対する包括的なアプローチの重要性、建築ソリューションと技術プロセスおよび労働者の社会的ニーズとの関連付け、ならびに工場複合施設全体の統一された建築アンサンブルの作成が強調されている。
ОПЫТ ПРОЕКТИРОВАНИЯ КУЗНЕЦКОГО ПАРОВОЗО-ВАГОНОСТРОИТЕЛЬНОГО ЗАВОДА*
В. А. Мыслин
* Проектирование архитектурно-строительной части завода проведено коллективом работников московского отделения Промстройпроекта под руководством главного архитектора площадки В. А. Мыслина и главного инженера В. Ф. Афанасьева.
Проектирование Кузнецкого паровозо-вагоностроительного завода относится ко второй половине 1935 г. Можно считать, что к этому моменту в достаточной степени определились современные требования, предъявляемые к строительству нового крупного промпредприятия. С одной стороны, это необходимость комплексного решения вопросов, связанных со строительством завода, а с другой — повышенные требования к качеству архитектурно-строительного решения самого завода. Последнее определило и организационную структуру проведения проектных работ. Пределы их значительно расширились: начиная от выбора площадки, организации ее территорий — до решения генплана предприятия и отдельных производственных зданий. Проектировщики архитектурно-строительной части завода оказались связанными с технологами, со строительством, с проектировщиками города, транспорта и ряда инженерных сетей. Это обеспечило наилучшую увязку в работе отдельных специальностей, действительную комплексность решения и значительно расширило границы архитектурных возможностей. Проектировщикам обычно одной архитектурно-строительной части готового технологического процесса представилась возможность влиять на организацию этого процесса с самого момента его рождения и использовать все инженерные сооружения для поднятия архитектурно-художественной выразительности отдельных производственных зданий и всего заводского ансамбля. Архитектура завода решалась в связи с примыкающим к нему городом.
На основании заключения специальной комиссии, выезжавшей в Сталинский промышленный район для выбора территории под строительство паровозо-вагоностроительного завода, наркомом тяжелой промышленности была утверждена Старокузнецкая площадка.
Хотя территория строительства завода, таким образом, и была определена, однако это постановление еще не фиксировало положения на ней завода. Строительство завода влечет за собой строительство города, железнодорожного транспорта и ряда инженерных сооружений. Фиксация же положения завода на площадке в значительной мере предопределяет размещение всех остальных элементов возникающего вслед за заводом комплекса строительства.
В то же время мы имеем немало примеров, показывающих, что нормальные условия для строительства и эксплоатации завода в значительной степени зависят от рационального размещения всех элементов вновь возникающего большого комплекса. Возникновение нового крупного промышленного предприятия на современном этапе не может происходить без проектной увязки всего комплекса строительства. Поэтому в первую очередь нужно было решить вопрос такого распределения территорий Старокузнецкой площадки, при котором все элементы получили бы правильное взаимное размещение, а также наилучшие условия для самостоятельной жизни и дальнейшего развития. Правильное взаимное размещение всех элементов вновь возникающего строительства зависит от естественных условий места строительства, а поскольку Кузнецкий паровозо-вагоностроительный завод будет находиться в Сталинском промрайоне, — от существующего в нем строительства и намечаемых перспектив его развития.
Старокузнецкая площадка (Западносибирский край) расположена в пониженном Кузнецком котловане, по которому протекает основная водная артерия района — р. Томь. Кузнецкий котлован занимает центр района. По мере удаления от него, рельеф начинает резко всхолмляться и переходит в горные хребты (рис. 1). Правобережная Старокузнецкая площадка имеет длину около 10 км, при ширине в средней части 4 км и у краев 2 км. С юга площадка ограничена руслом р. Томь, достигающей в этом месте полукилометровой ширины, а с севера — начинающимися возвышенностями. Как и весь котлован, площадка состоит из двух ясно выраженных террас. Первая терраса располагается непосредственно в котловане реки, изрезана множеством староречий и озер, заболочена и в значительной своей части заливается максимальным весенним паводком. Заливаемость площадки далеко не равномерна: в то время как в западной части она незначительна, в восточной заливаемость распространяется до 3 км. Вторая терраса, являясь продолжением первой, приподнята над ней на 10—12 м. Рельеф этой терраса менее ровный, но вполне пригодный под освоение строительством.
Климат района резко континентальный. Среднегодовая температура воздуха +0,7°. Общегодовое количество осадков составляет 492 мм, причем более половины их падает на летние месяцы. Обилие осадков в условиях достаточно низкой среднегодовой температуры и неблагоприятных грунтов (лёссовидный суглинок) способствуют значительной заболоченности местности. Инженерная геология площадки характеризуется высоким уровнем грунтовых вод. Все же, по заключению авторитетных специалистов, грунтовые условия площадки допускают возведение на ней крупного промстроительства, но при условии предварительной мелиоративной ее подготовки. Район подвержен действию сильных ветров, причем преобладающими направлениями их являются южное и юго-западное.
1. Условия рельефа, распространение заливаемости делают непригодной для освоения значительную часть территории. Ограниченное количество площадок, пригодных под крупное строительство, требует рационального использования территориальных ресурсов района и в частности максимального использования Старокузнецкой площадки.
2. Резко континентальный климат района, с ясно выраженными направлениями ветров, что требует максимального приближения жилья к производству и соответствующего взаимного их размещения при максимально возможной уплотненности застройки.
3. Особые геологические и гидротехнические условия, которые требуют внимательного учета при проектировании, а также предварительной мелиоративной организации площадки (осушение, дренаж и т. д.).
Существующее в районе строительство концентрируется главным образом на левобережной Сталинской площадке, расположенной по течению р. Томь ниже Старокузнецкой площадки. Современное промышленное лицо района определяется действующим Кузнецким металлургическим заводом. Завод расположен в западной части Сталинской площадки, в 10—12 км от проектируемого паровозо-вагоностроительного завода, с которым он будет иметь непосредственную технологическую связь (снабжение металлом). Жилой фонд района определяется городами Сталинск и Старый Кузнецк. Левобережный Сталинск обслуживает главным образом металлургический завод. Строительство города продолжается, и, согласно положениям Горстройпроекта, он должен развиться до размеров города с 160 тыс. жителей. Старый Кузнецк расположен в западной части Кузнецкой площадки, имеет около 30 тыс. жителей и в настоящее время не развивается. Железнодорожная связь Сталинска с Сибирской магистралью осуществляется тупиковой линией Сталинск — Усята — Новосибирск, а с местными рудными месторождениями по линии Сталинск — Кандалеп — Тельбесс.
Исключительно удачное географическое положение Сталинского района в отношении важнейших полезных ископаемых (каменный уголь, железная руда и др.) раскрывает широчайшие перспективы развития его экономики. Сочетание в радиусе 200—250 км почти всех видов сырья для развития черной металлургии определило строительство крупнейшего металлургического гиганта. Темпам развития района способствует удачное расположение его на пересечении железнодорожного (Юрга—Кузнецк) и водного (р. Томь) транспорта. Экономические предпосылки стимулируют дальнейшее развитие района и крупнейших промышленных предприятий тяжелом промышленности. Намечается строительство второго металлургического завода, а на базе металлургии возникает коксохимия, азотно-туковая и металлоемкая машиностроительная промышленность. Промышленное строительство естественно вызывает развитие городского строительства. Перспективы развития района и рациональность размещения вновь намечаемой промышленности и городов диктуют необходимость разработки комплексной схемы организации территории. Эта работа была проделана еще в 1934 г. сектором районной планировки Промстройпроекта (рис. 2).
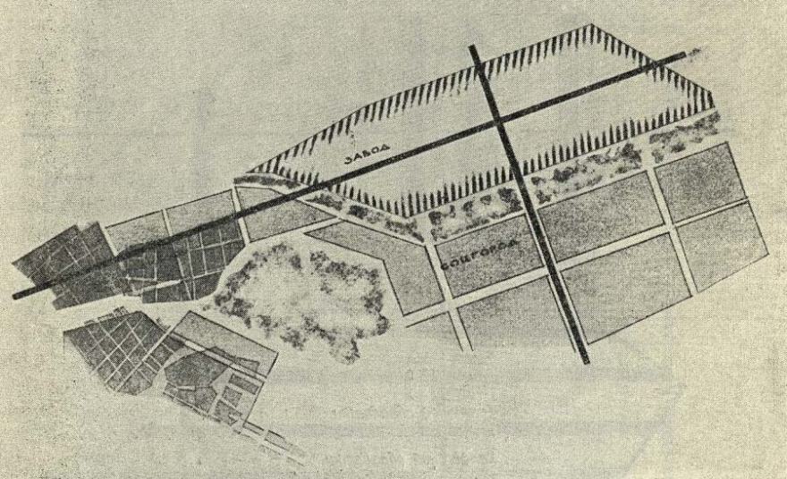
Согласно схеме организации территории Сталинского района, под основное строительство намечалась Антоновская площадка (расположенная по течению р. Томь ниже Сталинской площадки), Кузнецкая же площадка отводилась под строительство автозавода. Таким образом, все новое строительство размещалось на двух площадках, расположенных по течению р. Томь, выше и ниже освоенной строительством Сталинской площадки, которая оказывалась в центре их.
Наибольшую трудность представляло объединение их транспортом. Горный кряж разделяет правобережные площадки — Антоновскую от Старокузнецкой, а отсутствие мостового перехода у г. Старый Кузнецк разобщает Кузнецкую площадку от Сталинской. Генеральной транспортной схеме района наиболее отвечает вариант, предусматривающий прокладку железнодорожного пути для связи трех площадок по специально разработанной полке горного хребта.
Изменение в сроках начала строительства отдельных предприятий заставило перестроить схему организации территории всего Сталинского района под углом зрения конкретной потребности в строительстве паровозо-вагоностроительного завода. Намечавшееся ранее строительство отдельно паровозного и вагоностроительного заводов на Антоновской площадке перешло на Кузнецкую площадку в виде объединенного завода.
Однако, решая организацию территории Кузнецкой площадки, надо было исходить из прогноза, намеченного районной схемой, с тем, чтобы правильно увязать ее с существующим строительством и не помешать возможности дальнейшего развития района в связи с намеченным в нем строительством.
Северная, граничащая с всхолмленностью, часть площадки отводилась под транспортную зону.
Непосредственно за транспортной зоной располагалась промышленная, а за ней шла защитная зеленая полоса, отделявшая промышленность от жилья. Такое расположение удачно сочеталось с направлениями господствующих ветров, исключая возможность вредных воздушных влияний промышленности на жилую зону. Город располагался на мощной водной артерии с широким фронтом благоустроенных набережных. Однако при учете конкретных требований паровозо-вагоностроительного завода, а также в результате значительного уточнения естественных и топографических условий места строительства, указанное распределение территории Кузнецкой площадки было подвергнуто пересмотру.
Кузнецкий паровозо-вагоностроительный завод запроектирован на годовой выпуск 450 товарных паровозов типа ФД, 10800 большегрузных 4-осных вагонов (из них типа платформ — 5400 шт. и типа гондол — 5400 шт.) и 36 тыс. т вагонного стального литья для Красноярского завода. Эта мощность требует площади территории размерами 3,30×1,20 км. Общее количество рабочих, связанных с обслуживанием производства, определено в 19267, что, по подсчетам Горстройпроекта, потребует города на 80 тыс. жителей, а с учетом перспективы его роста — до 100 тыс. жителей. Такое количество населения требует площади города (брутто) около 8 км². Учитывая конкретную потребность в территории, для города и завода были составлены пять вариантов их взаимного расположения (рис. 3). Здесь мы рассмотрим лишь два из них, наиболее принципиальных с планировочной точки зрения, вокруг которых, собственно, и шли основные обсуждения, перед тем как принять окончательное решение.
Положительными моментами данного решения являются:
а) правильное расположение завода и города в отношении господствующих ветров;
б) возможность создать единый город со Старым Кузнецком при хорошей связи с г. Сталинском;
в) город располагается на возвышенной незаливаемой территории, вдоль фронта реки;
г) железнодорожный транспорт удачно подходит к заводской площадке, не разрезая города;
д) центральное расположение площадки завода относительно города обеспечивает равномерное обслуживание его людопотоком на производство.
Отрицательными моментами данного решения являются:
а) завод располагается на значительном рельефе (поперечный уклон 0,014), вследствие чего получает террасное решение со значительными перепадами между ними (до 5 м между верхней и средней террасой); это вызывает большие земляные работы (профильный объем до 4 млн. м³), усложняет поперечную технологическую связь и вскрывает в местах больших срезок высоко стоящие грунтовые воды;
б) такое положение завода осложняет его освоение (большие срезки при высоком уровне стояния грунтовых вод), удлиняет сроки строительства (трудности подхода железнодорожного транспорта от временного моста) и несколько увеличивает единовременные и эксплоатационные затраты (водоснабжение на высокие отметки).
Завод располагается на южной границе площадки. Город переносится к возвышенностям в северо-западную часть площадки.
Основным положительным моментом данного расположения является возможность запроектировать заводскую площадку без террас, а также снизить уровень грунтовых вод относительно планировочных отметок.
С другой стороны, размещение города выше завода, наряду с сохранением связи со Старым Кузнецком и с равномерной организацией людопотоков на производство, приводит к неправильному расположению города, а также завода — по отношению к господствующим ветрам. Явно отрицательным для данного варианта моментом является неизбежное решение жел.-дор. транспорта и сортировочной станции на высокой 10-метровой насыпи (1500 тыс. м³ земляных работ), которая полностью отрезает город от реки.
Сравнивая оба эти варианта с архитектурно-планировочной точки зрения, безусловно надо отдать преимущество первому из них. Этот вариант правильно решает не только задачи связи нового строительства с существующим, но и взаимное расположение всех элементов нового комплекса, их дальнейшее развитие, учет и рациональное использование всех естественных условий места строительства для жизни и работы трудящихся. Последнее, правда, не может быть выражено в конкретно-материальной форме. Но, исходя из сроков строительства, а также оптимального решения заводской площадки, принято среднее положение (между горизонталями 215—225), при сохранении всех преимуществ первого варианта, но с частичным сдвигом города на нижнюю террасу (рис. 6).
Принятое взаимное расположение города и завода определило направление господствующих композиционных осей промплощадки (рис. 7). Горизонтальная ось связывает завод со Старым Кузнецком, вертикальная — с новым городом. Магистрали заводской площадки, подчиняясь направлению господствующих композиционных осей, определились архитектурно-планировочной и производственной организацией предприятия. На основании четкого деления цехов на группы по характеру их работы, произведено зонирование производственной территории (рис. 8). В горизонтальном направлении площадка зонирована по признаку различных хозяйств. Так, с востока на запад идут: а) вагонная часть, б) общие цеха, в) паровозные и г) цеха, обслуживающие нужды всего производства.
В вертикальном направлении зонирование проведено по признаку выделения вредностей в связи с расположением по отношению к господствующим ветрам и близости к городу. Завод отделен от города защитной зеленой полосой шириной в 250 м. С юга на север площадка завода делится на следующие части: а) административно-культурная полоса, б) цеха холодной обработки, в) горячие цеха, г) энергетическая группа, д) складская группа. Далее располагается транспортный узел.
Совмещение зонирования в горизонтальном и вертикальном направлениях определило наличие двух главных поперечных магистралей, между которыми заключены цеха, общие для паровозной и вагонной частей завода, и одной главной продольной магистрали, идущей между цехами горячей и холодной обработки. Ясность основных магистралей привела к простоте планировки завода (рис. 9).
Восприятие завода идет по движению из города. Полоса административно-культурных зданий образует его передний фронт, обращенный к городу. Это — как бы главный фасад завода. Обычно застройка этой полосы проектируется без достаточного выделения главного и второстепенных входов. Кроме того, отдельные здания этой полосы различного функционального назначения недостаточно ясно группируются в самостоятельные планировочные и архитектурно-пространственные комплексы. Происходит это потому, что застройка первой линии завода рассматривается лишь, как решение обычной магистрали. Но, вследствие того, что непосредственно перед заводом проектируется защитная зеленая зона, отделяющая его от города, застройка магистрали, идущей вдоль завода, становится односторонней. Ложное понимание этой магистрали как обычной городской приводит к тому, что решение ее полностью отрезает завод от города, застройка ее воспринимается как демаркационная линия между городом и заводом.
В проекте Кузнецкого паровозо-вагоностроительного завода сделана попытка разбить все здания на ясно архитектурно воспринимаемые группы по их взаимной функциональной связи и назначению, а также концентрировать группы зданий возле проходных, контор, оформляя ими входные площадки перед заводом.
Так наметились следующие группы:
а) административно-технический центр завода,
б) городок пожарной и военизированной охраны,
в) учебно-спортивная часть,
г) здания, связанные с непосредственным обслуживанием нужд рабочего (питание, медобслуживание).
Каждая из этих групп получила свое индивидуальное планировочное и архитектурно-пространственное построение, соответствующее их различному назначению и условиям эксплоатации.
Являясь градообразующим фактором, завод не только на период строительства, но и в дальнейшем будет служить композиционным центром нового города. Занимая возвышенное положение относительно реки и окружающего его с двух сторон города, завод будет хорошо виден со всех точек окружающего его пространства. Его главная входная площадь будет в то же время и одной из основных городских площадей, а магистраль, ведущая к главному входу на завод, — одной из главных магистралей города.
Сейчас можно считать уже установленным, что, независимо от количества входов на завод, один из них должен быть решен как главный и связан с одной из основных городских магистралей. Поэтому при решении генерального плана особое внимание было уделено решению центральной части площадки, где расположен главный вход на завод, как самого ответственного в архитектурном отношении пятна. Это положение прекрасно понимали старые зодчие. Чрезвычайно характерным в этом отношении являются замыслы Клода-Никола Леду при постройке им солеварни в Шо.
Предзаводская площадь оформляется зданиями главной конторы, инженерного корпуса, дома партийных и профессиональных организаций и центральной заводской лаборатории. Каждое из этих зданий выполняет различные функции и связано с определенным контингентом посетителей, а это, конечно, требует от архитектурно-планировочной организации самостоятельного решения каждого из них. Эта группа зданий, вместе с главными проходными и въездами на завод, образует первый заводской ансамбль.
Композиция предзаводской площади ориентируется на центральную городскую магистраль и развертывается на магистраль, проходящую между заводом и защитной зеленой зоной. Застройка ее зданиями охватывает узел пересечения этих магистралей, так что площадь становится двухсторонней. Уступчатая постановка зданий в плане и повышенная этажность для загубленных объемов создает как бы искусственную и в то же время обратную перспективу. Площадь раскрывается на подходы с продольной магистрали и, наоборот, концентрируется по отношению к фронтальным подходам.
Подход к площади со стороны города оформляют первые пропилеи зданий гостиницы и дома для приезжих. Эти здания расположены в пределах зеленой защитной зоны параллельно главной городской магистрали, ведущей на заводскую площадь.
Зеленая защитная зона проектируется применительно к каждому новому промышленному предприятию. Размеры ее зависят от степени вредности предприятия. Для Кузнецкого завода эта зона взята минимальной ширины — в 250 м. Для таких предприятий, как металлургия или химия, размеры ее достигают 1 км. Именуясь зеленой защитной полосой, эта зона в натуре остается или пустырем или застраивается случайными сооружениями, главным образом временного характера. Такое положение станет вполне понятным, если учесть, что в огромном большинстве случаев на месте проектируемой защитной полосы не существует зеленого массива. Создание же его требует много времени и огромных материальных затрат. Вопрос о так называемой защитной полосе требует специальной как теоретической, так и практической разработки, особенно принимая во внимание огромные размеры ее.
На месте запроектированной защитной полосы Кузнецкого завода в натуре также нет зелени. Для реальности осуществления и действительного сохранения разрыва была принята трактовка ее как бульвара, с партером в основной, средней ее части и с обсадкой высокой зеленью только по краям. Чтобы не прерывать общей линии бульвара вдоль всего фронта завода и города, здания гостиницы и дома для приезжих запроектированы с большими арками-проходами.
Перспектива площади заканчивается двумя пилонами многоэтажных зданий — главной конторы и дома парт- и профорганизаций. Открытое пространство между ними раскрывает вид на завод.
Обычно решение предзаводской площади отрезает завод от города. Расположение главного здания или проходных (обязательно закрытых) перпендикулярно центральной городской магистрали замыкает ее перспективу. Такое решение не может быть признано правильным, ибо завод является естественным пространственным продолжением города, а его магистрали являются продолжением городских. Оставляя открытым центральное пространство и забирая его лишь ажурной металлической решеткой, мы стремились добиться естественного соединения заводского ансамбля с городским. Таким приемом время восприятия завода при подходе из города удлиняется. Используя при подходе к главной заводской площади классические приемы пропилей и мотив массивных пилонов с прорывом во внутреннее пространство между ними при входе на завод, мы стремились перевести на современный язык эти композиционно выразительные схемы, встречавшиеся на протяжении всей истории архитектуры.
Здания, образующие пропилеи, не представляют в своей трактовке установившейся традиции. Решение в общей форме скорее динамично, — согласно конкретному назначению, они одновременно сохраняют основную идею пропилей. Несколько затесненное пространство между ними должно, естественно, разрешиться свободным пространством площади.
Крупные пилоны при входе на завод, образованные торцами зданий, также повторяют в своей схеме архитектурный прием, уходящий своими корнями в глубокую историю. Однако новая трактовка его, когда пилоны решены крупными, но одинаковыми по всей высоте здания проемами, придает сооружению совершенно иной, живой, общественный характер, сохраняя всю выразительность старого и, казалось бы, чуждого нам композиционного приема культового назначения.
Пространство между пилонами служит одновременно внутренней площадью перед главной конторой, домом партийных и профсоюзных организаций и торжественным входом на завод.
Входы для рабочих решены по обе стороны от центрального блока и связаны с двумя основными поперечными магистралями завода. Аналогично решены въезды на завод, причем они полностью изолированы от площади и входов, так что людо- и грузопотоки не пересекаются. Включая входы и въезды в общий ансамбль площади, мы тем самым уничтожали точки, обычно решаемые невзрачно, благодаря своим малым строительным объемам, но имеющие большое архитектурное значение. Здания, связанные с обслуживанием работающих на заводе, медпункты, столовые и др., сконцентрированы около второстепенных входов. Такое размещение, наряду с удалением от шумного и подвижного центра, приводит к наиболее равномерному обслуживанию вагонной и паровозной частей завода. Здесь же размещены сооружения, связанные с пожарным и транспортным обслуживанием завода.
Главная заводская площадь развертывается тотчас же за входом на завод. Она, как и весь центр завода, застроена наиболее крупными производственными зданиями. Это положение должно рассматриваться сейчас как основной принцип планировки заводской территории. В большинстве проектов, а особенно в натуре, этот принцип не выдерживался вследствие того, что архитектору не была обеспечена возможность активного влияния на планировку промышленного предприятия.
Обстройка основных площадей, главных магистралей и переднего после входа фронта завода мелкими, главным образом обслуживающими и складскими зданиями, приводила к тому, что важнейшие точки для восприятия завода не могли быть архитектурно организованы. Площади и магистрали воспринимаются архитектурно организованными только в том случае, когда они четко обстроены зданиями. Мелкие здания не допускают хорошего оформления и не могут организовать пространства больших размеров. Связанные с назначением этих зданий оклады и отбросы загрязняют заводскую территорию. Таким приемом решения уничтожается весь смысл архитектурного оформления, который может быть создан в первую очередь применительно к наиболее крупным производственным зданиям переднего фронта завода, к его главным площадям и магистралям движения рабочих.
Обслуживающие здания должны концентрироваться в специально отведенных для этого кварталах заводской территории, по возможности на ее периферии. Технологический план Кузнецкого завода страдал неправильным размещением как раз этих зданий.
Так, находящийся на переднем плане наиболее крупный и интересный в архитектурном отношении вагоносборочный блок был в значительной части закрыт мелкими зданиями главного магазина, складами химматериалов и деревообделочной группы, а перед остальной его частью был запроектирован парк готовых вагонов. Вмешательство архитектора дало возможность безболезненно для технологического процесса убрать эти сооружения, мешавшие восприятию вагоносборочного блока.
Однако в другом вопросе, не менее важном для архитектурно-пространственной выразительности главной заводской площади, архитекторам не удалось достигнуть желательного результата. Крупные цеха — котельный и тендерный — могли быть без особого ущерба для поточности производства поставлены так, чтобы ограничивать площадь с двух боковых сторон. Исключительно ради удобства управления ими они поставлены по одну сторону площади, другой же фронт ее пришлось ограничить мастерскими ФЗУ. Перспектива заводской площади замыкается бытовым корпусом инструментального цеха. Это подчеркивает основное отличие нашего промышленного предприятия от капиталистического. Здесь главное — забота о людях.
По обе стороны от инструментального цеха, образуя с ним передний фронт завода, расположены наиболее крупные производственные цеха — паровозо- и вагоносборочный. Технологический процесс в них запроектирован таким образом, что готовая продукция (большегрузный вагон, тендер и паровоз «Феликс Дзержинский») будет выходить к центру завода на главную его площадь. Здесь будут праздновать свои производственные победы люди социалистического труда. Поэтому главная заводская площадь трактована как партер для массовых собраний всех работающих на заводе.
Две главные поперечные магистрали охватывают общие для всего завода цеха — инструментальный и кузнечно-прессовый. Поднимаясь постепенно по рельефу, параллельно подъему каждой последующей линии цехов, они заканчиваются высотными плоскостями зданий машинного зала ТЭЦ И газогенераторной станции. Эти здания террасно приподняты на рельефе; к ним ведут широкие каменные лестницы. Большая ширина поперечных магистралей (130 м) определяется вводом железнодорожных путей в производственные цеха. Это обусловливает, с одной стороны, несколько нерациональное использование территории (малый процент застройки), удорожает ее освоение (удлинение всех сетей) и эксплоатацию (поддержание благоустройства), а с другой — трудности архитектурно-пространственного решения. Одна застройка их, хотя бы и крупными зданиями, не может организовать пространство столь значительной ширины. Свободные от железнодорожных путей в пределах цеха, запроектированные в виде бульваров с большим количеством высокой зелени, с физкультурными площадками, фонтанами, скульптурами, эти магистрали должны явиться лучшим местом отдыха рабочих на свежем воздухе.
В дальнейшем при проектировании аналогичных предприятий необходимо ставить вопрос о переходе в ряде случаев с обслуживания железнодорожным транспортом на автогужевой, для уменьшения разрыва между цехами. Это необходимо прежде всего из экономических соображений, так как освоение и эксплоатация каждого лишнего метра заводской территории стоит больших средств. Архитектор, который заинтересован в том, чтобы завод выглядел в натуре так же хорошо, как в проекте, должен быть первым застрельщиком в борьбе за минимальные разрывы, ибо чем меньше разрывы, тем действительнее благоустройство и порядок на заводе. В противном легко убедиться на примерах уже построенных и действующих промпредприятий.
Главная продольная магистраль служит для людопотока из Старого Кузнецка. Насыщенная высокой зеленью, она одновременно является изолятором, отделяя цеха холодной обработки от горячих цехов, выделяющих вредности.
Много внимания было уделено очередности строительства завода, как немаловажному фактору его архитектурного решения. По календарному плану строительства завода в первую очередь намечалась постройка вагонной части. Перед проектировщиками стояла дилемма, разместить ли эту часть на площадке в ее западной части, т. е. начальной от ввода железнодорожных путей, или в восточной, т. е. конечной части. За первое как будто бы говорили все экономические показатели: кратчайшие железнодорожные пути, безрельсовые дороги, близость к существующему жилому фонду, к сортировочной станции, а значит, и к базе стройматериалов. За восточную часть говорили удобные условия эксплоатации завода, а именно то, что к моменту пуска этой части дальнейшее строительство не будет мешать нормальной работе предприятия. Победило последнее соображение, что говорит о политике дальнего прицела, а не узко деляческого решения вопроса на данный отрезок времени. Такое решение наиболее отвечает и архитектурно-пространственному построению завода. К моменту окончания строительства вагонной части и пуска ее в эксплоатацию этот участок завода может получить вполне законченное художественное оформление.
Мы придавали особое значение генеральному плану потому, что от его композиции в большой мере зависит построение ансамбля всего промышленного предприятия. Застройка заводской территории рядом отдельно стоящих зданий, хотя бы и очень удачно решенных, не может полностью решить проблемы архитектурной выразительности промпредприятия. Последнее может быть решено только при ансамблевом построении, которое связано прежде всего с композицией генерального плана. В архитектурном решении генерального плана Кузнецкого паровозо-вагоностроительного завода была проведена жесткая последовательность единого архитектурного ансамбля всего завода в целом. Запроектированные на основе этого положения цеха имеют закономерно развитое архитектурное решение, с архитектурными ударами в ответственных узлах плана. Планировочное решение площадки, помимо общей идеи развития, проведено с учетом архитектурного решения цехов и является неотъемлемой частью общей композиции (рис. 12).
Совместная с момента рождения цеха работа архитектора и технолога дала возможность использовать ряд элементов, связанных с производством и его обслуживанием, для построения архитектурно-художественной выразительности здания. Каждое здание приобрело ясную композиционную идею своего построения.
Цеха горячей обработки
В пяти средних пролетах литейной условия труда наиболее тяжелые (воздух сильно насыщен пылью и газами, шум, резко меняющаяся температура в рабочей зоне). Этим объясняется и оправдывается подъем их высоты и усиленное остекление торцов с открывающимися переплетами для обеспечения максимального естественного притока и обмена свежего воздуха.
Бытовые корпуса, равномерно распределяясь на протяжении цеха, примыкают к торцам менее горячих пролетов, что наряду с оптимальными условиями эксплоатации цеха обеспечивает правильное распределение рабочих по цеху и правильное их обслуживание.
Такое расположение бытовых корпусов является не только композиционно выразительным, но, пожалуй, и наиболее рациональным с функциональной стороны. Большое количество железнодорожных путей, окружающих здание, расширение его и необходимость обеспечить широкий фронт для притока свежего воздуха приводят к необходимости располагать бытовые корпуса со стороны заглубленного склада земли (для литейной сплошной застройки). Последнее требует устройства специальных дорого стоящих тоннелей для соединения бытовых корпусов с цехом.
Административно-конторские помещения запроектированы в один этаж вдоль фронта центральных пролетов. Такое расположение их отвечает директиве НКТП о максимальном приближении счетно-конторского и административно-технического персонала к цеху, освобождает внутренние пространства от клетушек и удачно использует лишнее нерабочее пространство в пределах ремонта кранов (на подкрановых путях). Одновременно подобный прием удачно решает объединение производственной части с бытовыми корпусами. Общий цоколь вдоль всего первого этажа придает масштаб всему производственному зданию.
Трубы мартеновских печей также использованы для подчеркивания композиции здания. Группируясь по три, они акцентируют центральную ось здания, по которой расположен главный вход в цех. Симметричная композиция главного фасада строится, таким образом, на контрастном сопоставлении сильно остекленной средней части производственного назначения и массивных крыльев бытовых корпусов с небольшими «человеческими» окнами.
Паровозо-сталелитейный цех
Огромные размеры здания сплошной застройки вагоно-сталелитейного цеха (270 × 200 м), несомненно, будут отрицательно влиять на условия его эксплоатации и обстановку труда в нем. Борьба с внутренним метеорологическим режимом цеха методом искусственной вентиляции, не говоря уже об огромных единовременных и эксплоатационных затратах на нее, не может полностью разрешить этой задачи. Единственно правильным решением было бы разорвать цех, придав литейной конфигурацию, близкую к форме кузницы, уже установившуюся и не вызывающую сомнений. Такое решение обеспечило бы естественное проветривание цеха и более благоприятные условия труда в нем. Несмотря на все наши настояния, нам не удалось провести такое решение для вагоно-сталелитейного цеха, но принятая конфигурация паровозо-сталелитейной идет именно по этому пути.
Наиболее горячие пролеты — выбивной, обрубочный и отжигательный — оторваны от остального объема здания. Однако разбивка крупного массива здания на ряд мелких самостоятельных объемов с архитектурно-композиционной стороны явно невыгодна. Поэтому принятое архитектурное решение связывает в единую композицию не только две части паровозо-сталелитейной, но и осеобдирочный цех, расположенный на одном с ними квартале заводской территории. Связующими элементами являются корпуса социально-бытовых и административно-технических помещений, поставленные перпендикулярно главным осям производственных цехов (рис. 16). Такое решение, являясь композиционно выразительным, одновременно сохраняет все технические достижения последних лет в области планировки бытовых зданий (график движения рабочих, сетка опор и т. д.) и создает еще ряд новых положительных моментов. К числу их относятся: а) самостоятельность конструкции бытовых зданий, б) экономически более выгодная двухсторонняя застройка, в) свобода планировки бытовых зданий в зависимости от числа работающих в отдельных соединяемых цехах, г) более удачное освоение окружающего пространства для отдыха рабочих и, наконец, д) для данного конкретного случая размещения бытовых зданий удачно совмещается с системой транспорта между частями литейной и с распределением рабочих по цеху.
Новый прием решения бытовых зданий дал возможность построить единую композицию фасада трех самостоятельных зданий. Для решения композиции такого фасада были одинаково приемлемы и возможны две различные трактовки.
По первому варианту центральный массив литейной принимался за центр всей композиции, а торцы осеобдирочного цеха и выбивного отделения литейной — за части, ограничивающие композицию. В этом случае корпуса бытовых зданий несли роль соединяющих промежуточных форм. Общая композиция строилась на симметричной основе, аналогично обычной палладианской схеме.
По другому варианту значение основных композиционных ударов приобретали бытовые корпуса, а примыкающие к ним части зданий несли соподчиненную функцию. В данном случае решение бытовых корпусов получало более свободный характер. Последний вариант и был положен в основу решения, как наиболее соответствовавший общему силуэту фасада литейной, асимметричному положению ее на генплане, функциональному построению бытовых корпусов и противостоящему зданию.
Кузнечно-прессовый цех
Однако до настоящего времени еще не были использованы все возможности подобного решения для повышения архитектурно-художественного качества здания этого типа. Вместо обычно применявшихся (на СТЗ, ЧТЗ и других заводах) отдельных бытовых пристроек по торцам пролетов, запроектировано соединение их в общий фронт здания (рис. 14). Формой, соединяющей два отдельных объема бытовых корпусов, явилась арка, ведущая во внутренний двор. Арка ограничена пилонами лестничных клеток и дает возможность объединить бытовые корпуса по третьему этажу. Симметричное решение главного фасада кузницы связано с симметрией всего здания и осевым положением ее на генплане. Введение пилонов, арки, портиков, большой террасы для отдыха рабочих, скульптуры и облицовки из естественного материала ставят со всей остротой вопрос о решении внешнего облика помещений для обслуживания нужд рабочего на производстве.
Стремление отойти от стиля коробочной архитектуры, так характерной для огромного большинства бытовых устройств промышленного строительства первой пятилетки, и желание найти верный образ их внешнего облика, как переходной формы от жилья к производству, — вот какие мотивы руководили проектировщиками. Однако реакция против существовавшей практики привела в данном объекте к потере чувства меры в связи с условиями его реального окружения. Этому в немалой степени способствовала сугубо симметричная схема здания, столь необычная для производственного цеха. Монументальная обработка бытовых корпусов кузнечного цеха с явными элементами стилевого подражания привела к отрыву их от основной массы производственного здания. Форма фонаря типа «понд» — характерный элемент современного производственного здания — мало вяжется с аркой и пилонами. Отыскание верного образа для решения помещений, связанных с обслуживанием человека в процессе труда, пожалуй, наиболее трудная задача в области архитектуры промышленных предприятий.
Особое внимание было уделено нами архитектуре внутреннего двора, который по парадности решения не уступает архитектуре внешних фасадов (рис. 19). Внутренний двор оформлен цветниками, фонтанами и газонами и предназначается для отдыха рабочих. Пора уничтожить традицию, по которой все внутренние пространства завода используются для свалки отбросов производства. Для них в проекте Кузнецкого завода отводится специальная территория, окруженная высокой зеленью.
Цеха холодной обработки
Благодаря необычной структуре своего построения, особый интерес представляет вагоносборочный блок (рис. 20).
Технологический процесс этого блока состоит из шести довольно самостоятельных циклов (черновой склад, промежуточный склад, узловая сборка и сварка, общая сборка, обшивка и малярка). Кроме того, производство идет в две нитки (гондола и большегрузный вагон). Это дает известную свободу при решении его. От шести самостоятельных зданий до одного прямого корпуса протяженностью в 1300 м — вот пределы, в которых можно искать наиболее рациональной организации данного комплекса. Здание для такого производства — уже не простая функция технологического процесса, оно выступает как самостоятельный строительно-экономический и архитектурно-планировочный фактор.
При выборе схемы организации технологического процесса и типа здания мы исходили из условий бокового освещения и естественного проветривания, пользуясь для этого поглощением свежего воздуха через наружные стены, с вытяжкой через фонарь верхнего освещения. Благодаря этому здание имеет всего два пролета.
Отрицательными моментами такого приема пространственной планировки цеха являются неэкономичность строительства и эксплоатации здания (большой процент строительных материалов, падающий на единицу производственной площади, и огромные охлаждающие поверхности), а также трудности наблюдения за работой и обслуживания рабочих. Однако все эти недостатки покрываются удобствами производства и условиями труда в нем.
По принятому решению вагоносборочный блок имеет в длину 912 м при средней высоте пролетов около 13 м. Соотношение высоты к длине составляет 1:70. При организации объемов такой большой протяженности необходимо было избежать монотонности и зрительной бесконечности. Путь решения этой задачи, по законам архитектурной композиции, лежит через расчленение протяжения на ряд участков, ясно воспринимаемых по количеству, взаимной связи и соподчинению частей. Решение подобной задачи мы находим в исторических примерах здания Адмиралтейства и главного фасада Тульского оружейного завода. Правда, длина зданий в этих примерах не превышает 350—400 м. Решение вагоносборочного блока осложнялось еще и тем, что главный фасад этого цеха, благодаря большому свободному пространству перед ним, будет восприниматься с ряда точек зрения целиком, а не отдельными частями, как это часто имеет место при затесненности пространства перед зданием.
Протяженность главного фасада разбивается прежде всего наличием двух планов. Задний план представляет собой основной двухпролетный цех (промежуточный склад, отделение узловой сборки и сварки и общей сборки). По условиям работы он требует большого процента освещенности (точная работа), а по условиям внутреннего режима — хорошего естественного проветривания (большое количество сварочных точек, выделяющих много тепла). Этим объясняется преобладание в этой части цеха остекления над массой стены боковых поверхностей. Передний план имеет, наоборот, преобладание стены над остеклением: это оправдывается вдвое меньшей шириной цеха (18 м против 36 м) при том же двухстороннем освещении и уровне работы в пределах габарита вагона, а также тем, что рабочее место между двумя нитками процесса малярного цеха все равно не может быть обеспечено боковым освещением, а нуждается еще и в верхнем. Различной трактовкой переднего и заднего плана сделан первый шаг по пути решения протяженности вагоносборочного блока. Однако длина одновременно видимой части заднего плана составляет 480, а переднего 360 м. Протяженность их разбита равномерным (через 60 и 72 м) введением пожарных проездов. Проемы пожарных проездов на фоне остекленного фронта заднего плана решены в виде массивных порталов, а на фоне массы стены переднего фронта — введением пространственных портиков.
Здесь решение архитектурной композиции строилось на использовании данных производственного процесса.
В остальном решение протяженности приходилось искать в сочетании производственного цеха с бытовыми и декоративными элементами. Так, значительная глубина пространства (350 м), заключенного между первым и вторым планами цеха, разбита на три почти равновеликих двора, путем перпендикулярной постановки корпусов вспомогательного (трубная мастерская, склад углерода, машинный зал, механическая мастерская) и бытового назначения.
Протяженность сильно остекленного заднего плана оказалась как бы заключенной между массивами выступа чернового склада и соединительного с передним планом корпуса. Дополнительно она разбита симметричным расположением отдельно стоящего корпуса бытовых, решение которого в монументальных формах должно контрастировать со спокойным остекленным фоном.
Протяженность заднего фасада, представляющего собой один общий фронт, решена периодическим введением объемных форм, которые представляют собой удачно собранный комплекс трансформаторов вентиляционной камеры и пожарного проезда.
Таким образом, все элементы, связанные с обслуживанием основного процесса производства и нужд работающих в нем, были использованы для построения архитектурной выразительности здания.
Предполагавшийся вариант планировки всех обслуживающих помещений вдоль заднего фронта хотя и давал большие возможности в смысле гибкости их использования, но ни в какой мере не отвечал архитектурному построению цеха. Принятый вариант дает и наилучшее функциональное решение. Бытовые корпуса размещены равномерно по длине здания, обслуживающие помещения — в точках максимального потребления, так что они не загораживают ни фронта бокового освещения, ни притока свежего воздуха, необходимого для аэрации цеха.
Использование всех элементов, предоставлявшихся архитектору непосредственно самым назначением здания, доказало, однако, что их все же недостаточно для построения вполне законченной и выразительной композиции вагоносборочного блока.
Как бы удачно ни были решены отдельные метрические удары (в перспективе — ритм), разбивающие фасад на отдельные участки, спасти такую огромную протяженность от монотонности может только контрастный вертикальный элемент. Недаром в приведенных выше исторических примерах композиционные удары решались в виде башен и шпилей.
В композицию вагоносборочного блока поэтому была введена башня, которая здесь необходима по архитектурным соображениям. Положение ее связано с конечным этапом технологического процесса — выпуском готового вагона (рис. 21). В перспективе от главного входа на завод башня являлась исключительно архитектурным элементом. В дальнейшем возможно будет приспособить ее для нужд производства. Однако даже исключительно декоративное ее назначение не может быть отвергнуто экономическими соображениями, ибо стоимость ее по отношению к стоимости блока ничтожна. При обогащении фасада массой деталей это обошлось бы куда дороже. Нам представляется, что, оперируя большими формами, мы правильно решаем задачу выразительности внешнего облика производственного здания.
Ансамбль заводского комплекса не будет восприниматься, если его отдельные здания будут решены в различном характере. Для стилевого единства завода необходимо повторение ограниченного, легко запоминающегося числа приемов архитектурной обработки. Эти приемы должны быть связаны с различным назначением ряда сооружений промплощадки. В проекте Кузнецкого завода принят ряд характерных приемов в решении зданий основных производственных, подсобных, бытовых и административно-культурных.
ОСНОВНЫЕ ПРОИЗВОДСТВЕННЫЕ ЗДАНИЯ
Складские и подсобно-обслуживающие здания
Эти здания решены в более легкой павильонной манере, что связано с облегченностью применяемых материалов и простотой их конструкции.
Бытовые и административно-культурные здания
Цокольный этаж решен в тяжелых рустах, выполняемых в естественном камне. Последующие этажи решаются гладкими, с оштукатуренной поверхностью стены и с «человеческими» окнами. Входы подчеркнуты сильными ударами с введением элементов изобразительного искусства.
Однако, повторяя один и тот же мотив обработки на ряде зданий, можно в натуре получить монотонное и скучное решение, что обычно и происходит на ряде заводов. Поэтому, сохраняя общие мотивы, которые являются объединяющими, мы постоянно изменяли приемы композиционного построения. Последнее легче всего проследить, сравнивая пространственное построение ряда бытовых корпусов, где меняется не только общая композиция, но и трактовка элементов центра и завершения.
Как бы удачно ни была задумана и хорошо выполнена композиция всего завода, донести и раскрыть ее перед зрителем можно только путем решения так называемых малых ансамблей. Развертываясь на основе общей композиции завода, отдельные его площади и магистрали должны строиться на взаимной увязке отдельно стоящих во фронт и друг против друга зданий, с обработкой партера и сооружениями, участвующими в восприятии данной части пространства.
В проекте Кузнецкого завода был проработан под таким утлом зрения ряд точек внешнего пространства завода. Пожалуй, наиболее показательным является решение пространства, заключенного между тендерным и котельным цехами (рис. 22). Если двигаться от главного входа в сторону паровозного хозяйства, то организация зрительного восприятия начинается с вышки для клепальных прессов котельного цеха (рис. 23), откуда открывается вид на пространство, заключенное между котельным и тендерным цехами.
Образовавшаяся здесь внутренняя площадь превращена в культурный участок для отдыха рабочих паровозной группы цехов. Сюда же обращены их бытовые корпуса. Перспектива этого пространства заканчивается высоким сборочным пролетом паровозомеханического цеха. На его фасад ориентируют параллельно поставленные здания трансформаторных подстанций, что и определило всю трактовку решения главного фасада сборочного пролета (рис. 15). Большая высота (до 23 м) пролета выделяет его из остальных зданий площадки, и фасад его приобретает совершенно иной масштаб. Для приведения его к общему модулю, пользуясь наличием многоярусных кранов во внутреннем пространстве, фасад его решен как для многоэтажного здания. Благодаря этому он приобрел активные соотношения по вертикали. Однако по длине здания равномерная разбивка конструкций (опора через 12 м) не давала оснований для построения его композиции. Введение сильных порталов — одного по оси перспективы из пространства между котельным и тендерным цехами, и другого, соответственно внутреннему пространству сборочного пролета — дало возможность решить композицию его фасада в полном соответствии с окружающим его пространством (рис. 24). Аналогично решен участок главной продольной магистрали, заключенный между паровозолитейной и бытовыми корпусами паровозосборочного цеха (рис. 25). Центры одного из них находят закономерный ответ в решении другого и заключенного между ними участка магистрали. Планировка партера у вагоносборочного блока определилась структурой его фасадов и в свою очередь помогла расчленению протяженности последних. Так, 70-метровые отрезки фасада акцентируются элементами малой формы, расположенными в партере.
Чтобы добиться целостного решения отдельных частей завода, проектирование его было организовано таким образом, что ведущие архитекторы получали в свое распоряжение не отдельные здания, а целые районы; так были решены: линия горячих цехов, паровозная и вагонная группы.
Если в период строительства первой пятилетки вопросы промышленной архитектуры ставились главным образом в техническом разрезе, а производственное здание трактовалось как функционально-строительное ограждение цеха, то теперь решить только одну техническую сторону задачи, хотя бы и первоклассно, далеко уже не достаточно. Современные формы высокопроизводительного труда, проявляющиеся в стахановском движении, категорически требуют красивого оформления социалистического завода, получить которое при голом техническом решении невозможно.
В то время как при архитектурной реконструкции заводов (ГАЗ, СТЗ, завод им. Сталина, «Серп и молот» и др.) эта задача может быть решена лишь частично, применительно к проектированию нового завода она приобретает полный объем. Здесь представляется возможность решить не только отдельные здания, но и всю планировку завода, а также взаимное размещение всех элементов вновь возникающего большого комплекса строительства.
Для архитектора подобная задача представляет исключительный интерес и дает возможность проявить все свои творческие способности. Поэтому, как бы ни был интересен вопрос технического решения Кузнецкого завода, проектирование его должно расцениваться прежде всего с архитектурно-художественной точки зрения. Независимо от абсолютного результата, эта работа сыграла большую роль в смысле постановки и проверки на конкретном объекте проектирования ряда теоретических положений промышленной архитектуры, разработанных кабинетом промсооружений Академии архитектуры.
Перед нами раскрылись огромные возможности промышленной архитектуры.
客服
消息
收藏
下载
最近





























