查看完整案例

收藏

下载
PART 01项目概述
▲ 修缮后照片
淮海中路1200弄优秀历史建筑项目,坐落于上海市徐汇区,上海音乐学院对面,紧邻盖司康公寓。是上海市第五批优秀历史建筑,保护类别为三类。建筑面积为5031.39平方米;建筑层数3层;现状为居民住宅。2023年初项目启动了全面的修缮工作。
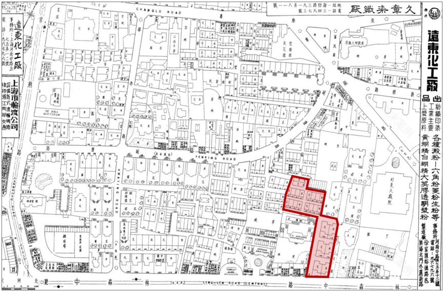
▲ 沿淮海中路主弄临街为3幢联立式花园住宅;7 - 24号为5幢新式里弄住宅。从1947年行号图中可看出,淮海中路1200弄住宅基本格局已形成。地块内的住宅空间形态基本延续至今。
▲ 1935-1939年 历史照片
PART 02修缮设计重点
我们根据历史调研及现状分析并结合居民诉求,明确本次修缮设计重点:修缮设计遵从真实性、最小干预、可逆、可读、完整性原则,重现历史风貌。针对建筑单体进行屋面修缮、外立面修缮、室内木楼梯修缮,最大限度展现历史建筑之美;消除结构安全隐患,消除白蚁病害,消除电路隐患;提升居住空间品质,让居民安心满意。
从1935年的历史照片中,地块内建筑紧邻盖斯康公寓,淮海中路1176-1182号的建筑形制与现状基本相同。机平瓦坡屋面,设有老虎窗,清水红砖墙面。砖木结构,平面布局紧凑,前有独立小花园。该组建筑曾为顾维钧的产业,当年他买下后出租,租户多为外国人。
▲ 约2010年左右照片 ▲ 现状鸟瞰图
建筑单体均为砖木结构,沿街3栋联立式花园住宅,西侧5栋新式里弄住宅立面现状建筑外观保持历史建筑特征,原空间格局保留完整。
▲总平面图
沿街联排式南北排列三栋住宅,平面布局紧凑,南侧有独立的小花园,坡屋顶,坡度较陡,南立面窗套有简洁的装饰。
西侧为鱼骨状排列的五栋新式里弄住宅,东侧两栋,西侧三栋,黄色水泥墙面,坡屋顶,南立面入口有科林斯柱,二层铁艺栏杆,有锁心石。
▲ 修缮后外立面照片与历史图纸对比
建筑外部的装饰风格及建造艺术在一定程度上反映了当时建造时候采用的建造工艺和建筑材料,对研究历史资料有比较重要的参考意义。
PART 03屋面修缮
修缮前,建筑屋面普遍存在瓦局部替换,颜色不一;部分区域瓦片缺失;檐口、封檐板破损、防水层缺失、天沟破损、增设天窗及管线等问题。
左图:自屋面结构开始检查 右图:防腐防潮处理埋入墙体的梁端部
左图:铺设望板 右图:铺瓦
左图:修缮前瓦片颜色不均匀 右图:修缮后统一瓦片颜色
左图:修缮完成后的屋面瓦片与斜天沟 右图:天沟细节,排水坡度顺直
左图:踏步凡水与瓦片扣盖严密,侧面与山墙交接顺直;右图:山墙封檐板、压顶、天沟交接处严密和顺。
PART 04砖墙修复
建筑各立面普遍存在整体涂料覆盖、清水砖墙风化、墙面开洞、阳台封堵、门窗封堵、缺损、受潮、植物附生、特色门窗替换、铁艺构件锈蚀、木门窗掉漆等病害。
在外立面脚手架建设后,我们又进一步从高到低,对整个外墙情况进行排摸。施工方会同监理方真实的反馈其外墙的风化率、空鼓率,使得设计方案更有针对性。根据酥松部位、酥松率、空鼓率情况最终定下外墙修缮方案。空鼓面积较大,对空鼓,剥落等无法修缮的饰面进行凿除重做。基层强度较好的位置凿除面层,局部修补。在一次次的现场查勘中,我们对淮海中路1200弄项目从图纸、模型逐渐走向它的砖瓦、粉刷,我们的设计方案以及做法变得更加具体,更有针对性。
左图:修缮前,被涂料覆盖的清水砖墙 右图:第一轮墙面清洗,可以看见有残余沁入老砖的涂料残留
外墙修补做法
左图:破损边角以少量砖粉嵌补 右图:平直开缝
左图:填缝 右图:压缝
▲ 修缮完成的小样
▲ 修缮完成前后对比
PART 05防潮层修复
历史建筑在使用时间久了以后,不可避免地产生地面返潮现象,影响居民正常居住生活。因此在修缮过程中,我们引入了外墙防潮层修复专项。
左图:每一面外墙墙基位置打孔 右图:灌注完成后补孔
建筑主体每一面外墙墙基位置,均采用高压注射工艺修复防潮层。宜沿砖缝斜打一排或两排孔,角度30°至40°,钻孔直径=12mm,钻孔数量以 5-9 个/米为宜。钻孔深度>墙体厚度的 2/3。施工时,可采用手动或电动注浆机,注浆机压力控制在 2-3bar,防水剂达到饱和后,保持压力至少1分钟。很潮湿的墙体 12 小时后再补注射一次。注浆结束后,敲除高压灌注针头上的喷嘴,用聚合物砂浆修补注浆孔及损坏的基层。
左图:注浆操作概览 右图:注浆物料特写
左图:添加注浆料 右图:注浆结束前保持压力
设计修缮过程中,最主要的收获是深入居住类优秀历史建筑修缮的全流程。居住类优秀历史建筑修缮过程中,需要对每幢建筑进行详实的实地查勘确认病害要点、居民诉求使用情况,并在过程中与各方积极配合,各个环节缺一不可,各个参建单位发挥所长通力合作也是项目顺利推进的坚实基石。我们通过前期的调研考证走访等积累,在建筑设计方案中提炼出更有针对性的修缮设计方案。在有居民居住的“实心房”中开展房修工作,不可避免的会对居民生活产生干扰。这要求我们的工作更加有温度,更加有人情味。在与居民沟通、解决居民居住问题的过程中,感受到来自居民的信任,也是项目中最显著的收获。
结语
居住类优秀历史建筑经过近百年的使用,建筑室内外存在不同程度的劣化,如何在尊重建筑历史风貌的基础上修缮损坏部分,提升居住品质,提高居民的获得感,是修缮设计的难点。设计师在项目全过程中不仅考验设计师的专业度、还需在实践过程中充分发挥责任心、同理心。通过本次工程保护修缮设计,建筑的安全性、舒适性和使用品质都得到了提升,让老建筑焕发出新的活力,得以有尊严地服务当下,面向未来。让居民重展欢颜,社区重焕活力。
以上是一些修缮过程中主管部门、建设单位、历保专家、工人师傅的现场照片,感谢他们的组织、指导与付出。
建筑信息
建筑原名称:淮海中路1200弄
始建时间:1930年代
保护级别:上海市第五批优秀历史建筑
项目信息
项目名称:淮海中路1200弄
项目类型:居住类优秀历史建筑修缮
项目地点:上海市徐汇区淮海中路1200弄
设计时间:2023年3月一2024年2月
施工时间:2024年3月一2025年8月
建筑面积:5031.39m2
单体数量:8栋房屋
参建单位
建设单位:上海徐汇城市更新工程咨询有限公司
设计单位:华东建筑设计研究院有限公司历史建筑保护设计院
监理单位:上海恒基建设工程项目管理有限公司
施工单位:上海徐房建筑实业有限公司
团队成员
设计总负责人:付涌
项目经理:刘文毅
建筑设计:刘文毅、张琼
结构设计:张喆
机电设计:包昀毅
建筑摄影:刘文毅
客服
消息
收藏
下载
最近












































