查看完整案例


收藏

下载

翻译
Drift, a timber-and-steel pedestrian bridge by designer Volkan Alkanoglu, has been completed and will be installed in Fort Worth, TX in Summer 2021. Fabricated off-site with a projected installation time of just a few hours, Drift is an innovative example of plug-and-play urbanism, an emerging sustainable and affordable design strategy that proposes building infrastructural elements off-site and dropping them into place.
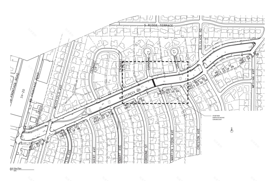
Commissioned by the City of Fort Worth’s Public Art Program, Drift straddles public art, civic design, architecture, and infrastructure. On one hand, it is a community-driven, site-specific project created to bridge a physical divide—a creek—between two halves of one neighborhood and their respective park systems. On the other, the fabrication and installation techniques employed can be applied to a wide range of communities and use cases.
Alkanoglu began conceptualizing Drift in response to a brief from Fort Worth Public Art for a pedestrian bridge spanning a creek in the South Hills residential neighborhood of Fort Worth that would enhance the connectivity of the many communities along with the Trinity River Trail System. Historically, there had been no place to cross the 80-foot-wide culvert for seven blocks. Alkanoglu implemented three central design principles: 1) Use sustainable material and minimize the impact on natural habitat on-site; 2) Reduce project cost through innovative design and project logistics; 3) Create a sense of place and connect the community. The budget was$375,000—a fairly slim sum for an infrastructure project of this scale.
Alkanoglu’s design for Drift, which was selected among three finalist proposals, drew initial inspiration from the Westcreek site and its immediate surroundings. Depending on the season, the creek bed shifts from a container for flowing water to a dry basin filled with driftwood and felled plants. This process of transformation—and the driftwood and plant life that reflect it—drove the bridge’s material palette and form. The mid-century modern ranch-style homes that fill the neighborhoods on either side of the creek also offered fodder. Drawing a line between the bridge and the neighborhoods’ dominant architecture, Alkanoglu looked to molded plywood innovations, such as Ray and Charles Eames’ leg splint, made during the same era as the homes.
The resulting 62-foot-long bridge resembles a smooth, curving branch of driftwood or a bowed bentwood splint, arcing over the creek and providing pedestrian connectivity between two parts of a neighborhood. From other angles it refers loosely to the hull of a ship, with a convex underbelly and a concave hull containing a pathway, benches, and railings. Uniquely, these elements are all built into a single form, where irregular undulations and curves are engineered for sitting and support. This innovation also draws inspiration from Eames’ splint, “where every function occurs within a single figure,” explains Alkanoglu. Embedding the benches was a means of placemaking for Alkanoglu. With them, Drift becomes a space for contemplation, recreation, and communing, rather than just a thruway or wayfinding mechanism.
While Alkanoglu originally envisioned fabricating the bridge solely from cross-laminated timber, budgetary constraints encouraged a different but equally innovative strategy. Taking a cue from shipbuilding techniques, he and a team of engineers began with a steel armature but veered away from tradition by cladding it with CNC-cut and flip-milled timber planks—a product of computational design. In this way, each plank is custom cut, then stack-laminated into one large, volumetric, undulating form.
▼项目更多图片
客服
消息
收藏
下载
最近






































